340m Đầm Bung – Phú Vinh – Phú Nghĩa – Chương Mỹ – Hà Nội
Phú Nghĩa - Chương Mỹ
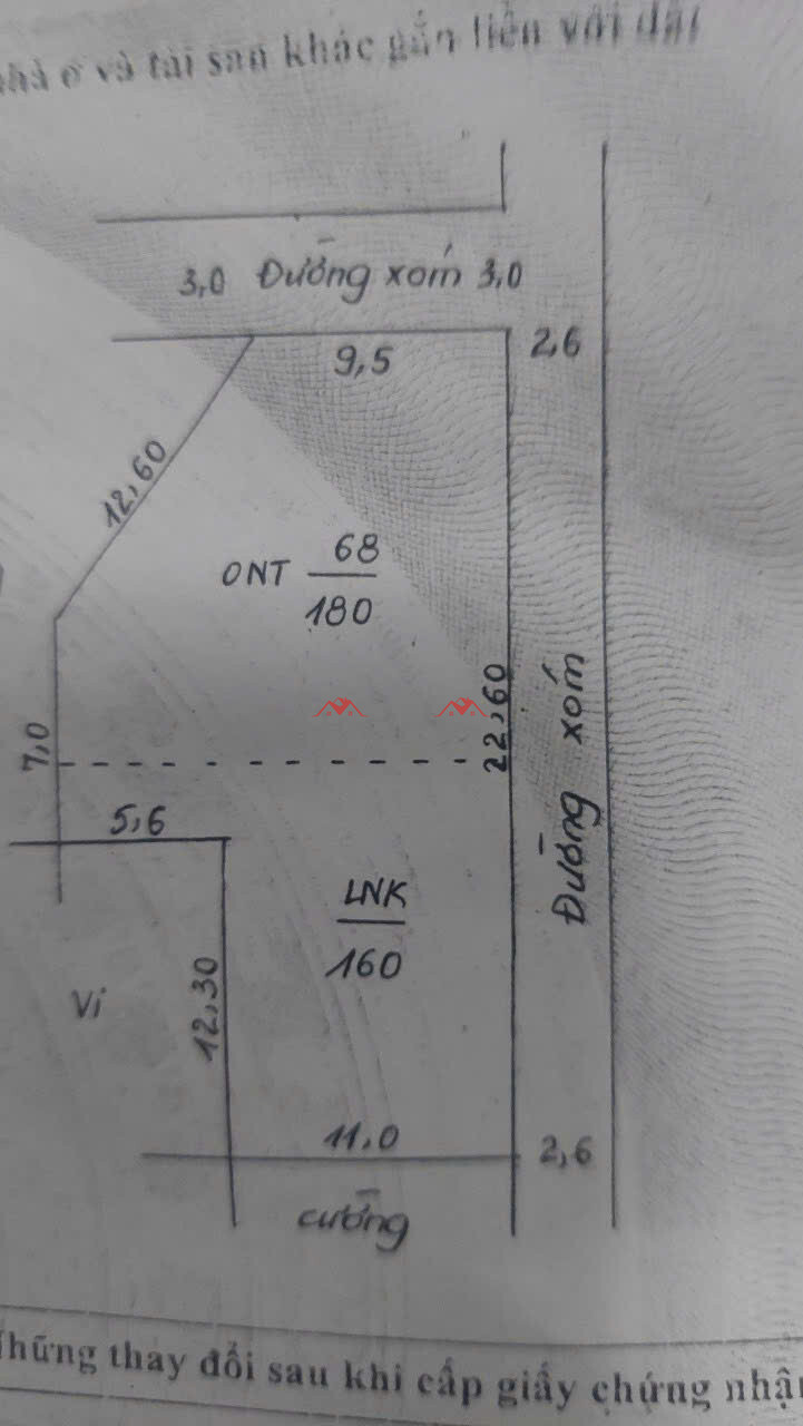
Thông tin dự án
| Diện tích: | 340 m2 |
| Giá: | 5.x tỷ |
| Pháp lý: | Đã có sổ |
| Trạng thái: | Đang bán |
Thông tin chi tiết dự án
MỞ BÁN LÔ ĐẤT SIÊU ĐẸP TẠI ĐẦM BUNG – PHÚ NGHĨA – CHƯƠNG MỸ – HÀ NỘI 😎😎
🌱 Diện tích : 340m2 có 180m full thổ cư, mặt tiền thoáng
🌱 Phù hợp cho quý anh chị đầu tư kinh doanh, phân lô tách thửa.
🌱 Cách dự án Lê Văn Lương kéo dài chỉ 100m
🌱 Gần trường, gần chợ, gần sân thể thao Phú Nghĩa
🌱 Khoảng 400m là đường QL6..
🌱 Dân cư đông đúc, cơ sở hạ tầng mới
LH Đình Vinh Land : 0961747666 📞📞📞







